387 Tunxis Hill Road, Fairfield, CT 06825
387 Tunxis Hill Road
Fairfield, CT 06825
$466,000 Price Reduction
Multi-Use Redevelopment Opportunity on Route 58 for Sale Now at $4,100,000
Angel Commercial, LLC, as the exclusive commercial real estate broker, is pleased to present 387 Tunxis Hill Road in Fairfield, CT, now offered at the newly reduced price of $4,100,000—a $466,000 price reduction.
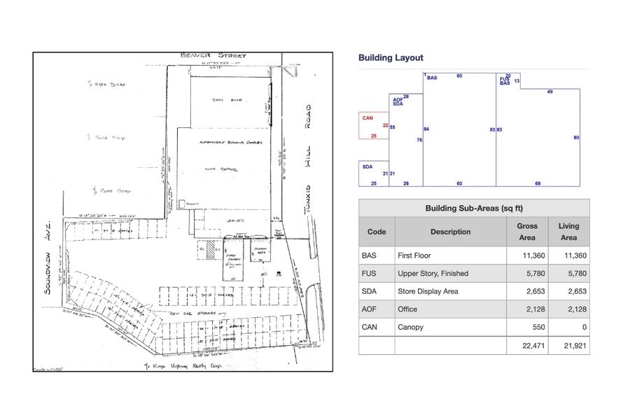
This exceptional property features 407 linear feet of frontage on Route 58 (Tunxis Hill Road) with prominent pole signage and three curb cuts for easy access. The offering includes three contiguous parcels totaling 1.37 acres, anchored by a 21,921 SF commercial building. Two of the parcels, situated on 0.34 acres in a Residential B Zone, provide additional parking and may be sold separately.
The two-story building sits on 1.03 acres and provides 87 on-site parking spaces. Interior highlights include:
First Floor: 2,653 SF climate-controlled display room with floor-to-ceiling windows, 2,128 SF of office space, and an 11,360 SF service center with 24’ ceiling height, four drive-in doors with drive-through access, an overhead storage platform, and a conveyor system.
Second Floor: 5,780 SF of office space.
Redevelopment Potential:
Located in a Neighborhood Designed Business District (NDD) with two adjoining parcels in a Residential B Zone, 387 Tunxis Hill Road offers exceptional flexibility for redevelopment. A developer could pursue a vibrant mixed-use project with street-level retail or restaurant space and residential or office units above, develop professional or medical offices, or use the Residential B parcels for additional parking, landscaped buffers, or new housing such as townhomes or duplexes. All plans are subject to Fairfield Planning & Zoning approval.
Strategically positioned, 387 Tunxis Hill Road is just 1.2 miles from I-95, 1.6 miles from the Fairfield Metro Black Rock Train Station, and located directly at a Greater Bridgeport Transit bus stop. Prominent neighboring retailers include TJ Maxx, Stop & Shop, Aldi, and Floor & Décor, ensuring strong consumer traffic and visibility.
This property represents a rare investment opportunity in a high-visibility Fairfield location with outstanding redevelopment potential. For more information, please contact Jon Angel, President, Angel Commercial, LLC, at (203) 335-6600, Ext. 21.
| Financial Information | ||
| Sale Price: | $4,100,000 | |
| 2025 Real Estate Taxes: | 387 Tunxis Hill Road 24 Soundview Avenue 42 Soundview Avenue TOTAL |
$82,321.92 $5,723.44 $3,030.64 $91,076.00 |
| The Site | ||
| Space Available: | 21,921 SF | |
| Total Building Size: | 22,471 SF | |
| Land: | 387 Tunxis Hill Road 24 Soundview Avenue 42 Soundview Avenue TOTAL |
1.03 Acres 0.23 Acres 0.11 Acres 1.37 Acres |
| Zoning: | Neighborhood Designed Business District (NDD) & Residential B (B) | |
| Year Built: | 1930 | |
| Construction: | Concrete /Cinderblock | |
| Stories: | Two | |
| Tenancy: | Single | |
| Features | |
| Traffic Count: | 9,110 Average Daily Volume |
| Parking: | 137 Surface Spaces |
| Ceiling Height: | 24' (Service Area) |
| Loading: | Two 10' W × 10' H Drive-In Doors, One 10' W × 9' H Drive-In Door, One 10' W × 12' H Drive-In Door |
| Amenities: | Monument Signage, Oil/Water Separators, Underground Storage Tanks, Inclined Conveyor, 6 Restrooms |
| Utilities | |
| Water/Sewer: | City/City |
| A/C: | Central Air Conditioning (Office & Showroom) |
| Heating: | Gas |
| Power: | 400 Amps |
| Demographics | 3 Miles | 5 Miles |
| Population: | 197.2k | 290.1k |
| Median HH Income: | $78.6k | $83.5k |
ROAD MAP
SATELLITE














